Liste générale des taxons
Liste des familles

Liste des GENRES des Vitaceae

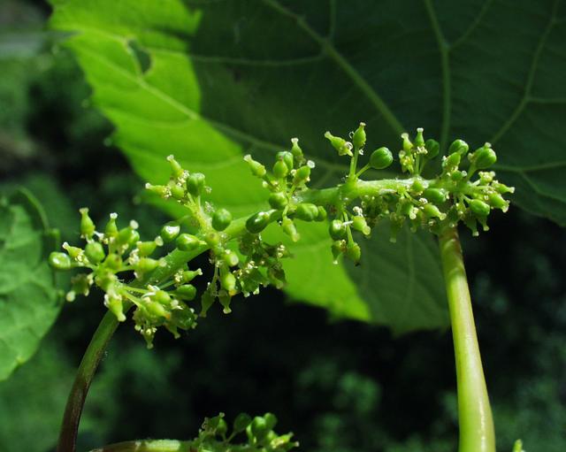
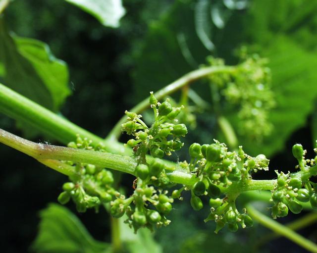
Vitis
Vitis silvestris : Vitis vinifera L. subsp. sylvestris (C.C. Gmel.) Hegi
Lambrusque, Vigne des bois, Vigne sauvage