Liste générale des taxons
Liste des familles

Liste des GENRES des Vitaceae

Vitis
Vitis


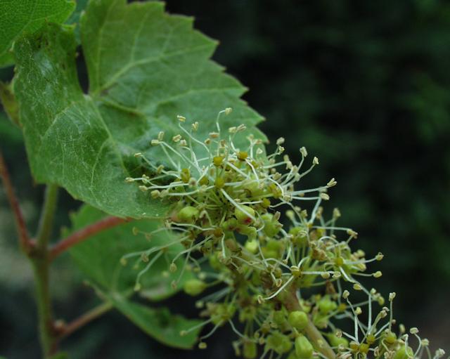
Vitis silvestris
Vitis vinifera L. subsp. sylvestris (C.C. Gmel.) Hegi
Lambrusque, Vigne des bois, Vigne sauvage


Vitis vinifera
Vitis vinifera L.
Vigne, Vigne cultivée