Liste des stations photographiques

Excursion nø 169 du : 04-02-2004 Marignane, Jardin du Pas des Lanciers

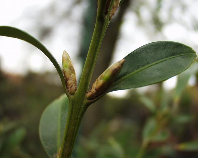
Buxus balearica
Buxus balearica Lam.
Buis des Baléares

Celtis australis
Celtis australis L.
Micocoulier de Provence, Micocoulier du Midi, Falabreguier, Micocoulier austral