Liste générale des taxons
Liste des familles

Liste des GENRES des Salicaceae

Salix
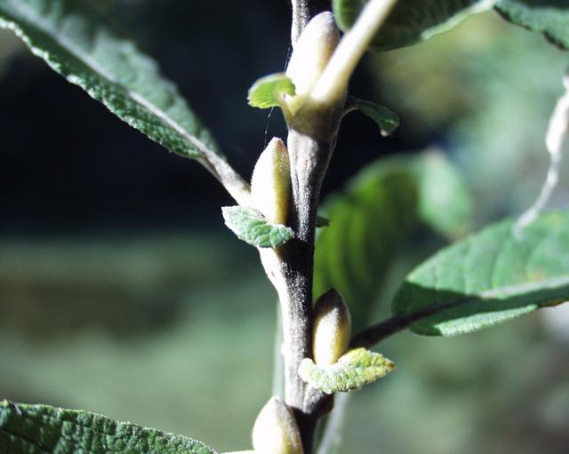
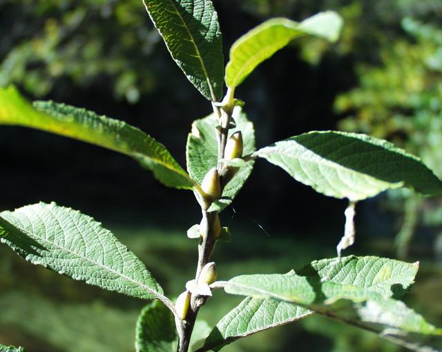
Salix caprea : Salix caprea L.
Saule des chèvres, Saule Marsault, Marsaule, Marseau