Liste générale des taxons
Liste des familles

Liste des GENRES des Fagaceae

Castanea
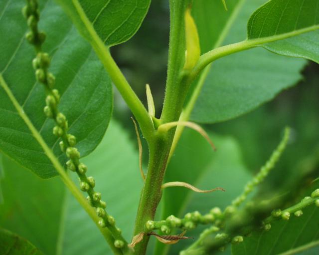
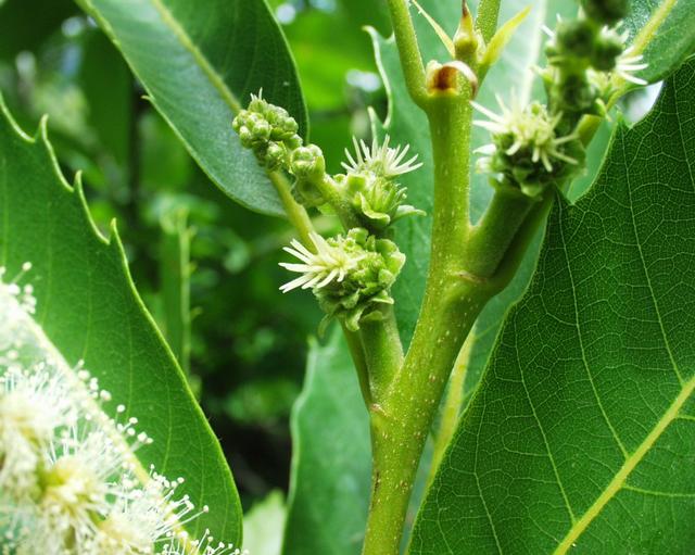
Castanea sativa : Castanea sativa Mill.
Châtaignier, Châtaignier commun